|
|

|
|
¹ö¼¸ÆÄ¸® ÇÇÇØ ¿¹¹æÀº À¯ÀÔ Â÷´ÜÀÌ Áß¿ä
|
|
µµ ³ó±â¿ø, Àç¹è»ç ÃâÀÔ?ȯ±â±¸¿¡ 0.5§®ÀÌÇÏ ¹æÃæ¸Á ¼³Ä¡ ´çºÎ
|
|
2017³â 08¿ù 28ÀÏ(¿ù) 12:14 [(ÁÖ)¿Â¾ç½Å¹®»ç] 
|
|
|
| 
| | ¨Ï ¿Â¾ç½Å¹® | | Ãæ³²µµ ³ó¾÷±â¼ú¿øÀº ÃÖ±Ù ¹ß»ýÀÌ ±Þ°ÝÈ÷ Áõ°¡Çϰí ÀÖ´Â ¹ö¼¸ÆÄ¸®°¡ 9¿ù Áß¼øÀ» ÀüÈÄ·Î ÃÖ°íÁ¶¿¡ ´ÞÇÒ °ÍÀ¸·Î ¿¹»óµÊ¿¡ µû¶ó ÇÇÇØ ¿¹¹æÀ» À§ÇØ Àû±ØÀûÀÎ ¿¹¹æ°ü¸®¸¦ ´çºÎÇß´Ù.
µµ ³ó¾÷±â¼ú¿ø¿¡ µû¸£¸é, ¿ÃÇØ 8¿ù Áß¼øÀÇ ¹ö¼¸ÆÄ¸® ¼ºÃæ¹Ðµµ´Â 150¡¿250§® ÆòÆÇÆ®·¦ ´ç 376¸¶¸®·Î, Àü¿ù¿¡ ºñÇØ 17%°¡ Áõ°¡ÇÑ °ÍÀ¸·Î ÆÄ¾ÇµÆ´Ù.
ƯÈ÷ ¹ö¼¸ÆÄ¸®ÀÇ ¹ø½Ä¿¡ À¯¸®ÇÑ ¿Â¡¤½Àµµ Á¶°ÇÀÎ 9¿ù Áß¼ø°æ¿¡´Â ÀÌ¿Í °°Àº Áõ°¡Ãß¼¼°¡ ÀýÁ¤¿¡ ´ÞÇØ 10¿ù±îÁö À̾îÁö¸é¼ ¼öÈ®±â¸¦ ¾Õ µÐ ³ó°¡¿¡¼ ÇÇÇØ°¡ È®»êµÉ °ÍÀ¸·Î Àü¸ÁµÈ´Ù.
µµ³» ¾ç¼ÛÀÌ Àç¹è³ó°¡¿¡ °¡Àå Å« ÇÇÇØ¸¦ ÁÖ°í ÀÖ´Â ±ä¼ö¿°¹ö¼¸ÆÄ¸®ÀÇ °æ¿ì ¹ö¼¸ÆÄ¸® ¾ÏÄÆ ÇÑ ¸¶¸®°¡ ÇÑ ¹ø »ê¶õÇÏ¸é ¾à 100¿©°³ÀÇ ¾ËÀ» ³ºÀ» ¼ö ÀÖ°í 20µµ ¿ÂµµÁ¶°Ç¿¡¼ ¾Ë¿¡¼ ¼ºÃæÀÌ µÇ±â±îÁöÀÇ ±â°£ÀÌ 25ÀÏ¿¡ ºÒ°úÇÏ´Ù.
¾ç¼ÛÀÌ Àç¹è³ó°¡¿¡¼ÀÇ ¹ö¼¸ÆÄ¸® ¹ß»ýÀº Á¾±Õ Á¢Á¾ÀÌÈÄ ±Õ¹è¾ç ±â°£ µ¶Æ¯ÇÑ ³¿»õ¿¡ À̲ø·Á Àç¹è»ç³»·Î µé¾î¿À°Ô µÇ´Âµ¥ ±× ¶§ºÎÅÍ ¹ö¼¸ÆÄ¸® ¹Ðµµ°¡ Áõ°¡ÇÏ¸é¼ À¯Ãæ°ú ¼ºÃæ¿¡ ÀÇÇØ ÇÇÇØ°¡ ±Þ¼ÓÈ÷ Áõ°¡Çϱ⠽ÃÀÛÇÑ´Ù.
µû¶ó¼ Á¾±ÕÁ¢Á¾ ÈĺÎÅÍ 3¡4ÁÖ¿¡ °ÉÃÄ À¯ÀÔµÈ ¹ö¼¸ÆÄ¸®¿¡ ÀÇÇÑ ÇÇÇØ°¡ °¡Àå Å©°Ô ³ªÅ¸³ª¹Ç·Î Ãʱ⿡ Àû±ØÀûÀÎ ´ëÀÀÀÌ ÇÊ¿äÇÏ´Ù.
´Ù¸¸, µµ³» Àç¹è³ó°¡ÀÇ ´ëºÎºÐ ¹æÃæ¸ÁÀÌ ¼³Ä¡µÅ ÀÖÁö ¾ÊÀºµ¥´Ù, ÀϺΠ¼³Ä¡µÈ ³ó°¡´Â ´«±ÝÀÇ Å©±â°¡ 18¡22mesh·Î ¸öü°¡ ÀÛ°í ³¯·ÆÇÑ ¹ö¼¸ÆÄ¸®¿¡ ´ëÇÑ ¹æÃæÈ¿°ú¸¦ ±â´ëÇϱâ Èûµç ½ÇÁ¤ÀÌ´Ù.
ÀÌ¿¡ ¹ö¼¸ÆÄ¸®·Î ÀÎÇÑ ÇÇÇØ¸¦ ¿¹¹æÇϱâ À§Çؼ´Â Àç¹è»çÀÇ ÃâÀÔ±¸¿Í ȯ±ââ µî ¹ö¼¸ÆÄ¸®ÀÇ À¯ÀÔÀÌ °¡´ÉÇÑ ¸ðµç °÷¿¡ 34mesh(0.5§®)ÀÌÇÏÀÇ ¸Å¿ì ÃÎÃÎÇÑ ¹æÃæ¸ÁÀ» ¼³Ä¡ÇØ À¯ÀÔÀ» ¿øÃµÀûÀ¸·Î ¸·´Â °ÍÀÌ °¡Àå Áß¿äÇÏ´Ù.
| 
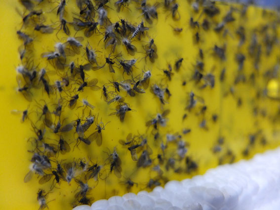
| | ¡è¡è ¹ö¼¸ÆÄ¸® Æ®·¦ | ¨Ï ¿Â¾ç½Å¹® | | µµ ³ó¾÷±â¼ú¿ø ÀÛ¹°¿¬±¸°ú À̺´ÁÖ ¹ö¼¸ÆÀÀåÀº ¡°¹ö¼¸ÆÄ¸®´Â ¹ö¼¸À» Á÷Á¢ °¡ÇØÇϰí ÇÇÇØ ÈçÀûÀ» ³²±â±â ¶§¹®¿¡ ¼öÈ®·®ÀÌ ¾à 20% ÀÌ»ó °¨¼ÒÇÏ´Â ¿øÀÎÀÌ µÈ´Ù¡±¸ç ¡°¼ºÃæÀº º´¿ø¼º ¼¼±ÕÀ̳ª °õÆÎÀ̸¦ ¿Å±â´Â ¸Å°³ÃæÀ¸·Î 2Â÷ÀûÀÎ ÇÇÇØ¸¦ ÀÏÀ¸Å°±â ¶§¹®¿¡ ¹æÃæ¸Á ¼³Ä¡¿Í Á¡°ËÀ» ¹Ù¶õ´Ù¡±°í ¸»Çß´Ù.
|
|
|
|
¿Â¾ç½Å¹®»ç ±âÀÚ ionyang@hanmail.net ¡°Áö¿ªÁ¤½Å ¿Â¾ç½Å¹®¡± - Copyrights ¨Ï(ÁÖ)¿Â¾ç½Å¹®»ç.
¹«´Ü ÀüÀç ¹× Àç¹èÆ÷ ±ÝÁö -
|
|
|
|
(ÁÖ)¿Â¾ç½Å¹®»ç
±â»ç¸ñ·Ï | ±â»çÁ¦°ø : (ÁÖ)¿Â¾ç½Å¹®»ç
|
|
|
|
|
|
|
|
|
|
|
|

|
|
|
|
ÃÖ±Ù±â»ç
|
|
|
|
|
Ãæ³²³²ºÎÀ庹, µµ³» Á÷¾÷ÀçȰ Àü..
|
|
¼øÃµÇâ´ë, KOICA ÇÁ·ÎÁ§Æ® ºÀ»ç´Ü..
|
|
¾Æ»êÆú¸®ÅØ´ëÇÐ, À¯´Ï½¼HKR(ÁÖ)¿Í..
|
|
Ãæ³²Àå¾ÖÀΰ¡Á·Áö¿ø¼¾ÅÍ, ÇöÀå Áß..
|
|
¾Æ»ê 4´ë ¿Âõ, ¡®¹°¸À¡¯ ´Þ¶ú´Ù
|
|
¿Â(On)½Ã½ºÅÛ È°¿ë È»ó ¿¬¼ö ¿î..
|
|
4°³ ½Ã±º¿¡ ¡®±âÈÄÀ§±â ¾È½É¸¶À»..
|
|
Ãæ³²119Ư¼ö´ëÀÀ´Ü, ÀÌ»öÀûÀÎ ¼Ò..
|
|
ÀÌ»ó±Ù ÀÇ¿ø, Ãæ³²µµÀÇȸ ÀÇÁ¤´ë..
|
|
Ãæ³²µµ, û³âÁ¤Ã¥ Æò°¡ ¡®Àü±¹ 1..
|
|
û³â ÁÖµµ Á¤½Å°Ç° Àνݳ¼± º»..
|
|
¡®2027 ¼¶ºñ¿£³¯·¹¡¯ Çù¾÷ °úÁ¦ ..
|
|
¹Ú¼öÇö ¿¹ºñÈĺ¸ µî·Ï, ±¹È¸ÀÇ¿ø ..
|
|
¾Æ»ê½Ã, ¡®½ÅÁ¤È£Á¤¿ø ´Þºû´©¸®±³..
|
|
À̼ø½ÅÃàÁ¦ Áغñ ¡®À̻󹫡¯¡¦¡°..
|
|
Ãæ³²³ó¾÷±â¼ú¿ø, ¹æ¿ïÅ丶Åä ½Åǰ..
|
|
Ãæ³²Å×Å©³ëÆÄÅ©, ¹Ì·¡ »ê¾÷ À̲ø ..
|
|
Áö¿ª»çȸ¿Í ÇÔ²²ÇÏ´Â ³ª´®, Àå¾Ö ..
|
|
û·ÅÇÑ ±³À° ÇöÀå ½Çõ À§ÇÑ ¡®ÀÌ..
|
|
¾Æ»êµµ¼°ü, Çб³µµ¼°ü °ü°èÀÚ ..
|
|
|